அதிகரிக்கும் ‘கஜா’ வேகம் - தீவிர புயலாக மாறுகிறது
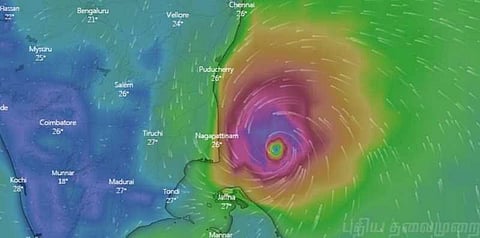
கஜா புயல் நாகப்பட்டினத்திற்கு அருகே கிழக்கு-தென் கிழக்கில் 85 கிமீ தொலைவில் புயல் மையம் கொண்டுள்ளதாக வானிலை ஆய்வு மையம் தெரிவித்துள்ளது. கரையை நோக்கி நகரும் வேகம் 16 கிமீ ஆக அதிகரித்துள்ளது.
இந்திய வானிலை ஆய்வு மையம் வெளியிட்டுள்ள அறிக்கையில், “காஜா புயலானது நாகைக்கு கிழக்கே 85 கிமீ தொலைவில் மையம் கொண்டுள்ளது. புயலானது கடலூருக்கும், பாம்பனுக்கும் இடையே கரையை கடக்கும். கரையை கடக்கும் போது 100-110 கிமீ வேகத்தில் காற்று வீசும், சில சமயங்களில் 120 கிமீ வேகத்தில் காற்று வீசக்கூடும். தற்போது, புயல் காற்றின் வேகம் 55-65 ஐ எட்டியுள்ளது” என தெரிவிக்கப்பட்டுள்ளது.
இதுதொடர்பாக வானிலை ஆய்வு மைய இயக்குநர் பாலசந்திரன் பேசுகையில், “தீவிர புயல் வலுவிழக்கும் என்று எதிர்பார்க்கப்பட்ட நிலையில் தீவிர புயலாகவே கரையை கடக்கும்.
புயல் முழுமையாக கரையை கடக்க அதிகாலை 3 மணி ஆகும். டெல்டா மாவட்டங்களில் காற்று பலமாக வீசக்கூடும். மழை மற்றும் கனமழை பெய்யக்கூடும். புயல் கரையை கடப்பதற்கு சுமார் 3 மணி நேரம் ஆகும்” என்றார். கஜா புயல் காரணமாக 164 முகாம்களில் 63,203 பேர் தங்க வைக்கப்பட்டுள்ளனர்.

