தொடங்கியது ‘கஜா’ புயலின் தாக்கம் - திருவாரூர், நாகையில் பலத்த மழை
‘கஜா’ புயலின் தாக்கம் தொடங்கியுள்ள நிலையில் நாகை, திருவாரூர் மாவட்டங்கள் மழை பெய்ய தொடங்கியுள்ளது.
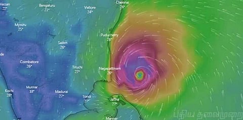
‘கஜா’ புயலானது நாகை மாவட்டத்தில் இருந்து கிழக்கு தென்கிழக்கு திசையில் 125 கி.மீ தொலைவில் நிலைக் கொண்டுள்ளதாக வானிலை ஆய்வு மையம் தெரிவித்துள்ளது. புயலின் வெளிப்பகுதி கடலோர பகுதிகளில் தொட்டுள்ள நிலையில், திருவாரூர், நாகை மாவட்டங்களில் மழை பெய்ய தொடங்கியுள்ளது.
நாகை மாவட்டத்தில், மயிலாடுதுறை, குத்தாலம், மணல்மேடு, மங்கைநல்லூர், வேதாரண்யம், தோப்புத்துறை, ஆறுகாட்டுத்துறை உள்ளிட்ட பகுதிகளிலும், திருவாரூர் மாவட்டத்தில் ஆண்டிபந்தல், சன்னாநல்லூர், நன்னிலம், குடவாசல், திருத்துறைப்பூண்டி, முத்துப்பேட்டை உள்ளிட்ட பகுதிகளிலும் மழை பெய்துள்ளது. காரைக்கால், கோட்டிச்சேரிமேடு, கிளிஞ்சல்மேடு, பட்டினச்சேரி உள்ளிட்ட பகுதிகளில் மழை பெய்துள்ளது. இலங்கையின் வடக்கு பகுதியிலும் கஜா புயலின் தாக்கம் உள்ளது. யாழ்ப்பாணத்தில் தற்போது இலேசான மழையுடன் காற்று வீச ஆரம்பித்துள்ளது.
கடலூர், நாகை, தஞ்சாவூர் திருவாரூர், ராமநாதபுரம் உள்ளிட்ட 5 மாவட்டங்களில் தற்போதைய நிலவரப்படி மொத்தம் 164 முகாம்களில் 26,399 பேர் தங்க வைக்கப்பட்டுள்ளதாக தகவல் வெளியாகியுள்ளது. ‘கஜா’ புயல் காரணமாக பல்வேறு மாவட்டங்களில் பள்ளி, கல்லூரிகளுக்கு நாளை விடுமுறை அறிவிக்கப்பட்டுள்ளது. தமிழகத்தில் நாளை நடைபெற இருந்த பாலிடெக்னிக் கல்லூரி தேர்வுகள் ஒத்திவைக்கப்பட்டுள்ளது. ‘கஜா’ புயலையொட்டி வேதாரண்யம் மற்றும் சுற்றுவட்டாரப் பகுதிகளில் மின்விநியோகம் நிறுத்தி வைக்கப்பட்டுள்ளது.
வேதாரண்யத்தில் முகாம்களில் தங்கவைக்கப்பட்டுள்ள மக்களை அமைச்சர் ஓ.எஸ்.மணியன் பார்வையிட்டார். அப்போது, முகாம்களில் உள்ள மக்களுக்கு உணவுப்பொருட்களை வழங்க அவர் உத்தரவிட்டார்.
இந்நிலையில், தற்போதைய வானிலை நிலவரம் குறித்து பேசிய வானிலை ஆய்வு மைய இயக்குநர் பாலசந்திரன், “நாகைக்கு தெற்கே கரையைக் கடக்கக் கூடும். காரைக்காலின் கிழக்கே 125 கிமீ தொலைவில் ‘கஜா’ புயல் மையம் கொண்டுள்ளது. தென்மேற்கு பகுதியில் புயல் நகர்ந்து கொண்டிருக்கிறது. புயல் கரையைக் கடந்து, நிலப்பரப்பில் சற்று வலுவிழந்து அரபிக் கடலை நோக்கி செல்வதற்கான வாய்ப்பு உள்ளது. புயல் 11 கிமீ வேகத்தில் நகர்ந்து வருகிறது. 10 மணிக்கு மேல் புயல் தீவிரமடையும்” என்றார்.

